This marker is used to identify Public Open Space owned by the City of Shelton. It does not mark the exact location of the property line and may be as much as 100 feet away from the boundary, depending on site conditions. The Conservation and Pedestrian Easements markers have a similar look but different text.

The Land Trust is a private, non-profit group that owns 364 acres of open space in Shelton, marked with these signs. People frequently confuse the Land Trust with the City of Shelton.
These rectangular wetlands marker may be found in some newer subdivisions, usually on 4x4 posts. They mark the location of areas regulated by the Shelton Inland Wetlands Commission. These are generally on private property and are not related to open space.
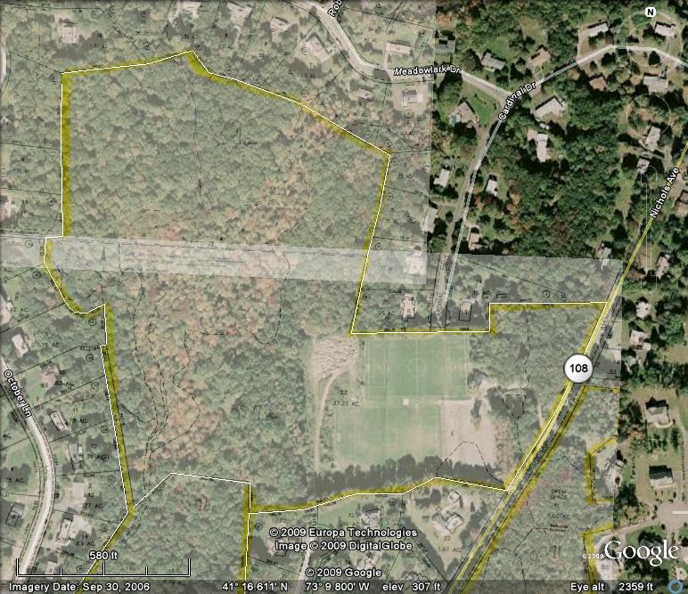
Capewell
Park features soccer fields used and maintained by the
Shelton Youth Soccer Organization (SYSO)
and is under the jurisdiciton of the
Parks and
Recreation Department.
As of January 2010, there are two large soccer fields, each about 1.5 acre, a concession stand, restrooms, and a parking area of nearly one acre. Plans to expand the fields are pending. The entrance to the playing fields is at 340 Nichols Ave (Rt 108).
The remaining 33 acres of the property are natural woodlands, included a substantial wooded swamp.
Overlay of Tax maps and aerial
The deed is filed at Volume 435 Page 106, 1981, transferring the land from Lewis w. Capewell of Stratford to the City of Shelton by Probate Court after the death of Mr. Capewell in 1979. There are no deed restrictions. Map filed at Vol. 9 page 415, 1953. The property was gifted to the city to be used for recreation.